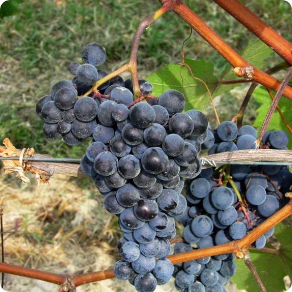
Characteristics
Red wine
Phenological periods:
Budbreak: April
Flowering: June
Véraison: August
Ripening: September
Harvest: September
Training and Pruning
Counter-espalier with mixed pruning (Guyot) and a fruiting cane of 8-10 buds.
Dolcetto •
Dolcetto •

Dolcetto
The Langhe Variety Par
Excellence
Dolcetto is among the most typical Piedmontese indigenous varieties and is cultivated to varying degrees across the region. It prefers marly calcareous soils on hills between 250 and 600 metres above sea level, but can ripen even beyond 700.
Despite not being a particularly vigorous or disease-resistant plant, Dolcetto has always been able to offer viticulturists sweet and ripe fruits for the table, also suitable for producing a special jam – cognà – and, above all, raw material for a wine with frank and simple characteristics.
The variety’s name derives from the particular sweetness of the grape’s flesh, but the wines obtained from it are exclusively dry and decidedly off-dry, characterised by modest acidity and a pleasant slightly bitter aftertaste. Depending on the cultivation zone and the type of vinification, Dolcetto produces fresh and easy-drinking wines that accompany everyday meals thanks to their softness, the freshness of the taste and the ability to pair with many different foods; or wines of a more evolved character, with body and structure, capable of ageing for up to six or seven years thanks to the expert work in the vineyard and correct cellar management by producers.
In the 1920s and 1930s, Dolcetto clusters were often used in the so-called grape cure, for their delicate flavour and low acid and tannin content. Dolcetto grapes, in fact, have remineralising, purifying, diuretic, laxative and liver-decongesting properties as they facilitate hepatic drainage.